BSB + Partner
bsb verkehrssanierung emmental 01

Verkehrssanierung «Emmentalwärts», Emmental


Die Verkehrserschliessung des Emmentals, insbesondere im Raum Burgdorf und unteres Emmental, ist unbefriedigend. Seit Jahren erreicht die Verkehrsbelastung ein Ausmass, das die Verkehrsteilnehmenden und die Bevölkerung beeinträchtigt. Eine Lösung soll Abhilfe schaffen.

Kenndaten

Auftraggeber

Kanton Bern, Oberingenieurkreis IV

Zeitraum

2017 bis 2022

Gemeinde

Burgdorf, Lyssach, Hasle b. Burgdorf


Planergemeinschaft (mit)

Jauslin Stebler AG, Basel


Summe

Ca. CHF 115 Mio.


SIA-Phasen

Bauprojekt bis Bewilligungsverfahren


Beschrieb

Das Tiefbauamt des Kantons Bern erarbeitete ein Vorprojekt mit zwei Stossrichtungen. Die erste Variante umfasst eine Umfahrung der Ortschaften Burgdorf, Oberburg und Hasle. Die zweite Variante sieht die Optimierung des bestehenden Strassennetzes vor.
Der Kanton legte 2015 die beiden Varianten zur Mitwirkung auf. Das Resultat? Für den Abschnitt Burgdorf wird die zweite Variante und für die Dörfer Oberburg und Hasle die erste Variante weiterverfolgt. Dies soll die Strassen auch für den Fuss- und Veloverkehr sicher machen. Mittels intelligenter Verkehrssteuerung wird der motorisierte Verkehr in Spitzenzeiten in und um Burgdorf gesteuert und gleichzeitig der ÖV bevorzugt.

BSB + Partner erhielt den Auftrag, die beiden Abschnitte Burgdorf/Lyssach und Hasle zu einem Bauprojekt weiterzubearbeiten und die Auflage des Strassenplans vorzubereiten. BSB + Partner ist für die Trassenplanung der 17 Massnahmen in den Abschnitten Burgdorf/Lyssach und Hasle verantwortlich.
Nebst der Koordination mit Drittprojekten (zum Beispiel Abschnitt Oberburg) sind diverse Fachplanende, Behörden- und Werkvertretende involviert. BSB + Partner wickelte – auch wegen der geografischen Nähe – den Hauptanteil der Projektkoordination ab.
Aus Sicht der Projektverfassenden der Abschnitte Burgdorf/Lyssach und Hasle wurde in den vergangenen Jahren alles unternommen, um das Projekt erfolgreich aufzulegen. Ohne die Verkehrssanierung Burgdorf – Oberburg – Hasle sind die Verkehrsprobleme in der Region nicht lösbar.

bsb verkehrssanierung emmental 04
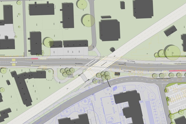
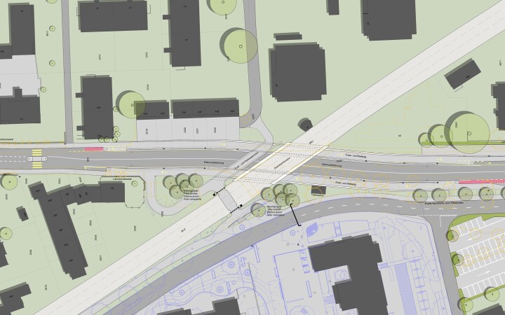
Perimeter in Lyssach-Burgdorf
Massnahmen und Anpassungen
bsb verkehrssanierung emmental 05
Perimeter in Hasle b. Burgdorf
Massnahmen und Anpassungen
/

Aufgaben BSB+

  • Gesamtprojektleitung
  • Teilprojektleitung Verkehr
  • Projektierung Phase 32/33 und Bereinigung Phase 31
  • Koordination mit Dritten und Werken
  • Kostenvoranschlag
  • Mithilfe bei den Einspracheverhandlungen und im Beschwerdeverfahren
  • Unterstützung bei der Öffentlichkeitsarbeit

Impressionen

bsb verkehrssanierung emmental 01
1 /
Visualisierung von Unterführung
bsb verkehrssanierung emmental 02
2 /
Visualisierung von Strassenzug
bsb verkehrssanierung emmental 03
3 /
Visualisierung von Bahnübergang
bsb verkehrssanierung emmental 06
4 /
Neugestaltung Bahnübergang zwischen Burgdorf und Oberburg
bsb verkehrssanierung emmental 07
5 /
Neugestaltung Kreisel zwischen Burgdorf und Oberburg
bsb verkehrssanierung emmental 08
6 /
Neugestaltung Kreisel zwischen Oberburg und Hasle bei Burgdorf


Startseite Projekte Verkehrssanierung «Emmentalwärts», Emmental